Der offizielle Twitter-Account von Nintendo Live 2019, eine Veranstaltung, die von Big N angekündigt wurde, um einige ihrer wichtigsten bevorstehenden Titel zu zeigen, informierte die Benutzer über die wahrscheinliche Absage der Veranstaltung aufgrund von Bedenken hinsichtlich eines ankommen Taifuns. 10月13日(日)、14日(月・祝)に国立京都国際会館にて開催予定の「Nintendo Live 2019」は、台風19号の今後の進路次第では、お客様の安全を確保するため中止する可能性があります。中止の場合は、こちらのアカウントでお知らせいたします。 #NintendoLive
- Nintendo Live 2019ご来場者向け情報 (@NintendoJPevent) October 7, 2019
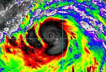
Dies ist der Supertaifun Hagibis, der in den letzten Stunden beeindruckend gewachsen ist und in den nächsten Tagen auch Japan treffen könnte, obwohl aktuelle Wetterberichte besagen, dass es noch zu früh ist, die Bahn des Taifuns zu bestimmen. und welche Gebiete des Landes irgendwann berührt werden.
Die Veranstaltung hätte zwischen dem 13. und 14. Oktober im Kyoto International Conference Center stattfinden sollen, und es sollte neue Informationen in Bezug auf Animal Crossing: New Horizons, Ring Fit Adventure und Luigi's Mansion 3, das noch in diesem Monat erscheinen wird, geben. Sollte die Veranstaltung tatsächlich abgesagt werden, werden die Teilnehmer immer über Twitter informiert und wer weiß, ob Nintendo beschließt, ein Last-Minute-Direct zu organisieren, um nicht alle sprachlos zu machen.
Im Moment sind offizielle Mitteilungen in diesem Sinne noch nicht eingetroffen, aber die Behörden und Organisatoren werden natürlich die Entwicklung der Situation im Auge behalten, bevor sie beschließen, die Veranstaltung abzusagen oder diese planmäßig durchführen zu lassen.
